
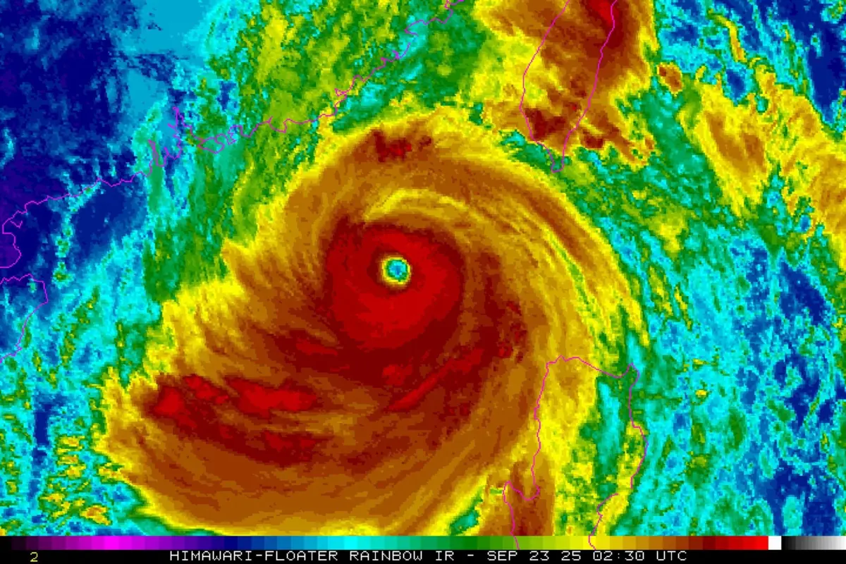
Imagem de satélite mostra a formação do tufão na aproximação à China
National Oceanic and Atmospheric Administration National Environmental Satellite, Data, and Information Service (NOAA/NESDIS) / AFP
Macau acionou níveis de alerta para a passagem do supertufão Ragasa, assim como corrigiu a sua trajetória previsível para mais próximo da região, de acordo com as previsões mais recentes dos Serviços Meteorológicos.
Corpo do artigo
As autoridades elevaram o nível de alerta para o sinal 3 às 5 horas locais de hoje (22 horas de segunda-feira em Portugal), e anunciaram que será feira a atualização para o sinal 8 às 17 horas locais (10 horas em Portugal continental).
"A intensidade do super tufão Ragasa e a ameaça de 'storm surge' [aumento anormal do nível da água do mar durante uma tempestade, medido como a altura da água acima da maré astronómica normal prevista] poderão atingir níveis semelhantes ou até superiores aos do 'Hato' e do 'Mangkhut', respectivamente de 2017 e 2018, o que constitui uma grave ameaça para Macau", anunciou o gabinete de comunicação do Executivo da Região Administrativa Especial de Macau (RAEM).
"Prevê-se que o Ragasa se aproxime bastante da foz do Rio das Pérolas na quarta-feira, 24 de setembro, com ventos de 9 a 11 graus, acompanhados de 'storm surge' muito grave e inundações de grande dimensão", acrescentou o gabinete.
"Às 11 horas locais (4 horas em Portugal continental), o ciclone tropical estava posicionado a cerca de 490 quilómetros a sudeste de Macau", referia uma nota publicada no portal da Direção dos Serviços Meteorológicos e Geofísicos (SMG).
A SMG prevê que se desloque para oeste-noroeste a cerca de 20 quilómetros por hora através da parte norte do Mar da China Meridional.
As autoridades acrescentaram que o sinal 9 deverá ser emitido por volta da meia-noite de terça-feira, com forte possibilidade de o sinal 10, o mais elevado, ser hasteado nas primeiras horas de quarta-feira.
A escala de alerta de tempestades tropicais é formada pelos sinais 1, 3, 8, 9 e 10, com a emissão a depender da proximidade da tempestade e da intensidade do vento.
"Prevê-se que o tufão Ragasa se aproxime do estuário do rio das Pérolas entre a madrugada e o dia de quarta-feira, com a possibilidade de passar a menos de 100 quilómetros de Macau", segundo a SMG.
Os SMG previam anteriormente a passagem do olho do tufão a uma distância superior aos 100 quilómetros.
"Prevê-se que os ventos com força de furacão -- escala de Beaufort 12 ou superior -- persistam, acompanhados de chuva forte, trovoadas e rajadas violentas", acrescentaram os serviços de meteorologia.
Os residentes de Macau em andares mais altos foram instados a tomar precauções contra os impactos potencialmente graves dos ventos extremos.
Também se antecipa chuvas significativas, que, se coincidirem com a maré alta astronómica na quarta-feira, abrem a possibilidade de inundações de magnitude comparável às observadas durante os tufões Hato e Mangkhut.
Em setembro de 2018, o tufão Mangkhut provocou 40 feridos e inundações graves no território. Um ano antes, o Hato, considerado o pior tufão em mais de 50 anos a atingir Macau, causou dez mortos e 240 feridos.
Os SMG anunciaram a elevação do alerta laranja de tempestade às 13:00 locais de hoje, menos sete em Portugal continental. A probabilidade de elevação do alerta para vermelho entre o final da tarde e o início da noite é "relativamente alta".
O chefe do executivo de Macau, Sam Hou Fai, que segunda-feira se deslocou aos bairros das zonas baixas, alertou para a previsão relativa à passagem do Ragasa, um supertufão de frente bastante larga.
Devido à tempestade tropical, as aulas dos ensinos infantil, primário, secundário e especial ficam suspensas terça e quarta-feira. Os serviços públicos, com exceção das urgências e proteção civil, serão igualmente encerrados.
As últimas travessias na ponte que liga Macau a Hong Kong, assim com as saídas de ferrys que ligam as duas regiões administrativas especiais chinesas, foram fixadas para as 13.00 locais. Outras ligações marítimas entre Macau e o Interior da China, bem como o Cruzeiro de Macau foram suspensos.
